| Voir le sujet précédent :: Voir le sujet suivant |
| Auteur |
Message |
Mario Administrateur

Inscrit le: 03 Oct 2006 Messages: 826 Localisation: La Baie, Québec
|
Posté le: Mar Juil 08, 2008 6:17 pm Sujet du message: Gulf du Mexique, Texas |
|
|
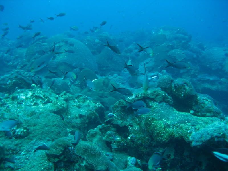
Voici mes photos prisent lors de mon voyage de plongée au Texas dans le Gulf du Mexique (Flower Garden Banks).
 _________________ Je trouve toujours la paix d'esprit au fond de l'eau  |
|
| Revenir en haut de page |
|
 |
mixmax Instructeur

Inscrit le: 27 Sep 2007 Messages: 1000 Localisation: St-Ambroise
|
Posté le: Mar Juil 08, 2008 10:22 pm Sujet du message: |
|
|
| Wow tu as de la chance..mais en fait on fait sa chance..merci de nous ensoleiller Mario bye |
|
| Revenir en haut de page |
|
 |
Mario Administrateur

Inscrit le: 03 Oct 2006 Messages: 826 Localisation: La Baie, Québec
|
Posté le: Mer Juil 09, 2008 12:15 pm Sujet du message: |
|
|
Voici les vidéos maintenant
 _________________ Je trouve toujours la paix d'esprit au fond de l'eau  |
|
| Revenir en haut de page |
|
 |
tibil Invité
|
Posté le: Mer Juil 09, 2008 7:26 pm Sujet du message: |
|
|
| c'est de toute beautée merci mario pour le matériel ca donne le gout de voyager |
|
| Revenir en haut de page |
|
 |
Audrey Plongeur d'eau douce
Inscrit le: 10 Avr 2008 Messages: 29 Localisation: Alma
|
Posté le: Mer Juil 09, 2008 7:53 pm Sujet du message: |
|
|
ouais c'est là qu'on reconnais un vrai millitaire en TD... pas trop difficile ton travail Mario ? C'est dure dure la vie d'un Bleu... mais j'espère que tu en profite au bout c'est un des bon cotés quand tu sert le Reine ... hi hihiiii.
 _________________ Un c'est bien mais deux c'est mieux ! |
|
| Revenir en haut de page |
|
 |
HugoTV ePlongeur

Inscrit le: 28 Oct 2007 Messages: 404 Localisation: Arvida
|
Posté le: Mer Juil 09, 2008 8:13 pm Sujet du message: |
|
|
Sa donne presque le goût d'aller travailler dans l'armée  |
|
| Revenir en haut de page |
|
 |
tibil Invité
|
Posté le: Mer Juil 09, 2008 8:49 pm Sujet du message: |
|
|
| ouais peut-etre un bon coté pour mario mais parfois il y'a des missions qui sont moins drole comme celle en afganistan |
|
| Revenir en haut de page |
|
 |
Mario Administrateur

Inscrit le: 03 Oct 2006 Messages: 826 Localisation: La Baie, Québec
|
Posté le: Mer Juil 09, 2008 9:34 pm Sujet du message: |
|
|
Tibil, lorsque j'étais en Afganistan, je me suis payer 3 belles semaines de vacance en Thaïlande donc...
| tibil a écrit: | | ouais peut-etre un bon coté pour mario mais parfois il y'a des missions qui sont moins drole comme celle en afganistan |
_________________ Je trouve toujours la paix d'esprit au fond de l'eau  |
|
| Revenir en haut de page |
|
 |
Gilles Instructeur

Inscrit le: 21 Juil 2006 Messages: 575
|
Posté le: Mer Juil 09, 2008 10:34 pm Sujet du message: |
|
|
| Tres belles photos et videos |
|
| Revenir en haut de page |
|
 |
tibil Invité
|
Posté le: Mer Juil 09, 2008 10:42 pm Sujet du message: |
|
|
| Mario a écrit: | Tibil, lorsque j'étais en Afganistan, je me suis payer 3 belles semaines de vacance en Thaïlande donc...
| tibil a écrit: | | ouais peut-etre un bon coté pour mario mais parfois il y'a des missions qui sont moins drole comme celle en afganistan |
|
ouais dacord mais ce que je dis c'est que des fois les missions des fantassins n'est pas toujours rose |
|
| Revenir en haut de page |
|
 |
Mario Administrateur

Inscrit le: 03 Oct 2006 Messages: 826 Localisation: La Baie, Québec
|
Posté le: Mer Juil 09, 2008 10:54 pm Sujet du message: |
|
|
C'est pour ça que j'ai changé de métier après 6 ans comme fantassin.
| tibil a écrit: | | ouais dacord mais ce que je dis c'est que des fois les missions des fantassins n'est pas toujours rose |
_________________ Je trouve toujours la paix d'esprit au fond de l'eau 
Dernière édition par Mario le Jeu Juil 10, 2008 7:56 am; édité 1 fois |
|
| Revenir en haut de page |
|
 |
tibil Invité
|
Posté le: Mer Juil 09, 2008 10:56 pm Sujet du message: |
|
|
bien dacord avcec toi ce que tu fais maintenant dois etre pas mal moins dangeureux  |
|
| Revenir en haut de page |
|
 |
Sinto ePlongeur
Inscrit le: 27 Juil 2007 Messages: 122 Localisation: Jonquière
|
Posté le: Jeu Aoû 28, 2008 7:12 pm Sujet du message: |
|
|
Super photos et vidéos Mario!! C'est fantastique toutes la vie qu'on peut trouver sous l'eau!!
C'est des souvenirs que tu montreras un jours à tes enfants et petits-enfants qui leurs donneras goût à eux aussi cette activitée magnifique!! (en eaux salées ), Si t'as pas de petits enfants, t'en fera une exposition au musée du fjord!!  |
|
| Revenir en haut de page |
|
 |
mixmax Instructeur

Inscrit le: 27 Sep 2007 Messages: 1000 Localisation: St-Ambroise
|
Posté le: Ven Aoû 29, 2008 5:57 pm Sujet du message: |
|
|
Salut m,Quesnel...bon retour sur le forum!!!!  |
|
| Revenir en haut de page |
|
 |
|